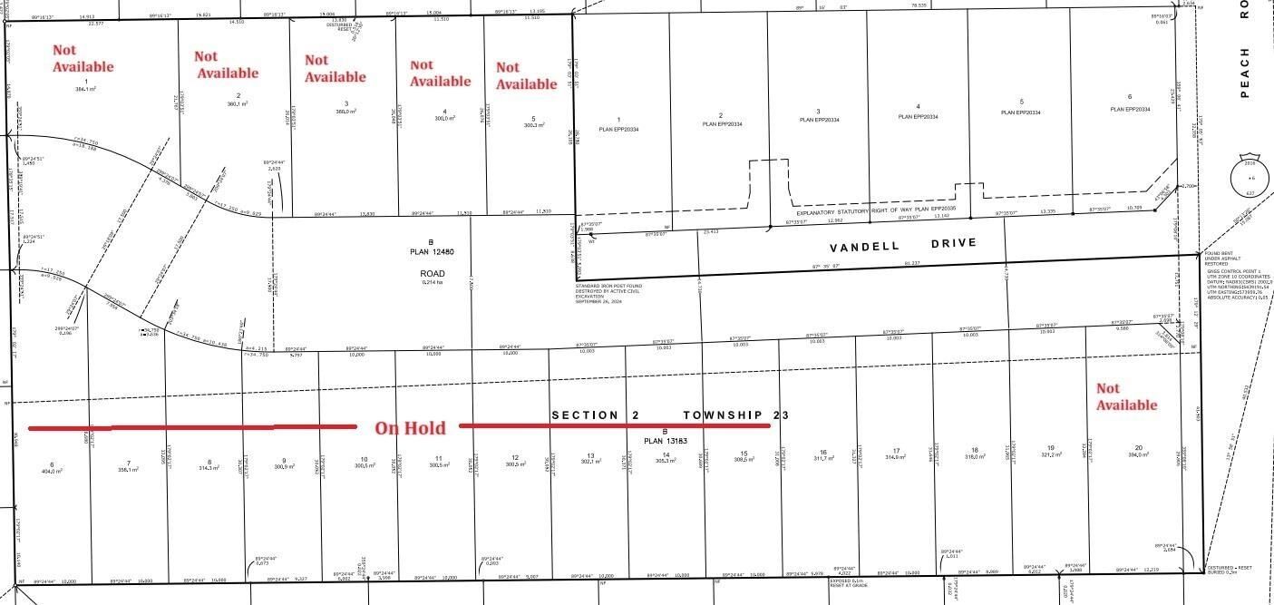
44720 Vandell Drive Chilliwack, BC V2R 0T4
Inscription par: MLS LogoCREA - C21 Brokers / Century 21 Creekside Realty Ltd. / Jill Hall

  44720 Vandell Drive Chilliwack, BC V2R 0T4

En vigueur (64 Jours)
569 900 $ (CAD)
2 405
PI. CA.

Description

PRICED TO SELL! A great investment to build on now or keep as a holding property. Just released for sale. Introductory pricing at $569,900. When lifestyle and location are a priority, the Gore Brothers lots on Vandell Drive check all the boxes. These limited lots are walking distance to parks, Vedder River Rotary Trail, Vedder River fishing, Stitó:s Lá:lém Totí:lt: Elementary/Middle School, University of the Fraser Valley, and Garrison Crossing. The River's Edge area has seen a steady increase in property values - being the most desirable community to raise a family or enjoy a well deserved retirement among nature. Live Life Optimally. (id:42016)

MLS®:
R3036685
Surface Terrain
2,405 PI. CA.
Catégorie
Land
Vue
View
Ville
Fraser Valley

Listed By

Jill Hall, Century 21 Creekside Realty Ltd.
Source
CREA - C21 Brokers
Dernière vérification Oct 15 2025 à 6:35 PM PDT
Détails sur les salles de bains
Alimenté par Walk Score®

Historique des prix des annonces

Date
Événement
Prix
% Variation en
$ (+/-)
Sep 29, 2025
Prix modifié
$569,900
-5%
-30,000
Disclaimer: REALTOR.CA The trademarks REALTOR®, REALTORS®, and the REALTOR® logo are controlled
by The Canadian Real Estate Association (CREA) and identify real estate professionals who are members of CREA. Listing Data Last Updated: 10/15/25 11:35